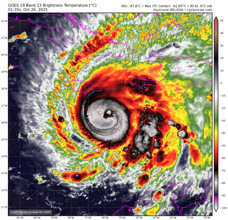
La tormenta tropical Melissa se está fortaleciendo rápidamente en el Caribe y podría convertirse en un huracán de categoría 5 en los próximos días, según advirtieron meteorólogos de AccuWeather.
Los modelos más recientes, incluidos los del sistema de pronóstico de IA de Google DeepMind, sugieren que Melissa podría desplazarse hacia el noreste de Estados Unidos, afectando potencialmente a Nueva York, Nueva Jersey, Connecticut y Massachusetts, en una trayectoria similar a la de la supertormenta Sandy (2012).
“Las aguas excepcionalmente cálidas actuarán como combustible, proporcionando energía adicional a Melissa”, explicó el experto Alex DaSilva.
Actualmente, Melissa se mueve lentamente cerca de Jamaica y Cuba, donde se esperan lluvias torrenciales, inundaciones y deslizamientos de tierra. Si la corriente en chorro sobre EE. UU. cambia su dirección en los próximos días, podría arrastrar la tormenta hacia la costa este, aumentando el riesgo para millones de personas.
Los expertos recomiendan mantenerse atentos a las actualizaciones oficiales, ya que la trayectoria final del huracán sigue siendo incierta

